当前位置:首页
 > 政务公开 > 政府部门 信息公开 > 县自然资源局 > 法定主动公开内容 > 城乡规划
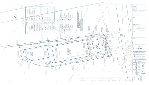
关于东西协作岷县十里镇高原预制菜大健康产业园建设项目设计方案及总平面图的公示


发布日期:2025-06-19 17:00 信息来源: 岷县自然资源局 字号:[ ] 视力保护色:


岷县农业发展扶贫开发有限公司向我局提交了关于东西协作岷县十里镇高原预制菜大健康产业园建设项目设计方案及总平面图审核的申请。依据《中华人民共和国城乡规划法》规定,为增加城乡规划透明度,现对该项目规划设计方案进行公示,征求利害关系人意见,关系人对公示内容有异议的可在公示期内向我局反映。公示内容如下:

一、项目符合规划情况

该项目符合《岷县西城区控制性详细规划》

二、项目基本情况

1.建设单位:岷县农业发展扶贫开发有限公司

2.项目名称:东西协作岷县十里镇高原预制菜大健康产业园建设项目

3.项目建设位置:岷县十里镇雷家村

4.用地性质:工业用地

5.用地面积:总用地面积约13211平方米

6.建筑面积:总建筑面积6939平方米

7.主要经济技术指标:容积率:0.802;建筑系数:47.55%;绿地率 10.48%

8.建筑层数:1F/2F。

9.建筑高度:5.2米/8.6米/7.95米

三、公示日期:2025年6月19日至2025年6月27日

四、公示期限:7个工作日。

五、反馈意见方式:来电至0932-7726577,或以书面方式反馈至岷县自然资源局(须注明联系人姓名、联系地址、联系电话)。

东西协作岷县十里镇高原预制菜大健康产业园建设项目设计方案.pdf


岷县自然资源局

2025年6月19日




[  打印本页  |  关闭窗口  ] 分享到:
责任编辑:岷县管理员